News Enigma

Perspective is architect of perception
  • News Sources
    • ABC News
    • Al Jazeera
    • ArticleIFY
    • BBC
    • Brookings
    • BuzzFeed
    • CBC
    • CBN News
    • CBS
    • Channel NewsAsia
    • CNBC
    • CNET
    • CNN
    • CTV News
    • Daily Express
    • Daily Telegraph
    • Defence Blog
    • Dkoding
    • Euronews
    • France 24
    • Global Issues
    • Global News
    • Global Press Journal
    • Google
    • IFP News
    • Kuwait Today
    • NDTV
    • New Europe
    • News
    • News24
    • NewsBlaze News
    • Newslanes
    • NEWSRUST
    • NPR
    • Public Radio International
    • QuintDaily
    • Radarr Africa
    • RAND
    • Raw Story
    • Reuters
    • Right Wire Report
    • RT News
    • Sarajevo Times
    • Sky News
    • Small Wars Journal Blog
    • South China Morning Post
    • The Cipher Brief
    • The Daniels Post World
    • The Eastern Herald
    • The Independent
    • The Local Spain
    • The New York Times
    • The Next Hint
    • The Seattle Times
    • The Srpska Times
    • The Sun
    • The Sydney Morning Herald
    • The Telegraph
    • The Washington Times
    • The World Association of Newspapers
    • TIME
    • Times of India
    • Today Online
    • TORONTO STAR
    • Vox
    • War News Updates
    • War On The Rocks
    • Warritatafo
    • Washington Post
    • Watchdog Uganda
    • World Weekly News
    • Worldwide
    • Yahoo

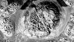
Historical sites in Afghanistan ‘bulldozed for looting’

February 21, 2024

Satellite images show damage has continued under the Taliban, according to researchers at Chicago University.

Source: Historical sites in Afghanistan ‘bulldozed for looting’

    

Updated: February 21, 2024 at 11:01 pm
Tags: Afghanistan
◀ University of Alabama pauses IVF services after court rules that embryos are children – NBC News
Biden cancels another $1.2bn in student debt ▶

Recent Posts

  • Film Honoring Surgeon Miodrag Lazić Screened in Bijeljina Last Night April 18, 2026
  • Hurtić Condemns Church Attack, Calls for Protection of Returnees April 17, 2026
  • Migrants break into church and rob homes in Trubar village; few Serb returnees left fearful April 16, 2026
  • Srbac-Made Gin Wins Gold Medal in Frankfurt (PHOTO) April 16, 2026
  • Banja Luka to host international trade fair May 13–15, record 400 exhibitors expected April 15, 2026
  • Dr. Miodrag Lazić – A Surgeon Who Saved Thousands of Lives Across the Drina April 14, 2026
  • Easter Traditions Endure: Between Faith, Symbolism and Modern Life April 13, 2026
  • Orbán Concedes Defeat as Péter Magyar’s Tisza Party Sweeps Hungary Elections April 13, 2026
  • Да ли Музеј Сарајева располаже оригиналним предметима из суднице у којој је „проведена главна расправа“ против Гаврила Принципа? April 12, 2026
  • Emrić Warns of Negative Impact of Nuclear Facility Near BiH Border April 10, 2026